症例紹介

術前撮影 橈骨尺骨骨折 

術後撮影 プレートにて整復

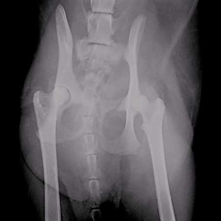
術前撮影 骨盤骨折

術後撮影 プレート、スクリュー等で整復

術前撮影 骨盤骨折

術後撮影 スクリュー、Kワイヤーで整復

術前撮影 脛骨骨折

術後撮影 プレート、Kワイヤーで整復

術前撮影 骨盤骨折

術後撮影 プレート、スクリューで整復

術前撮影 骨盤骨折、大腿骨骨折

術後撮影 プレートにて整復

術前撮影 脛骨骨折

術後撮影 プレート、Kワイヤーで整復

術前撮影 外傷性股関節脱臼

術後撮影 徒手整復

術前撮影 大腿骨、脛骨骨折

術後撮影 ロッキングプレート、Kワイヤーで整復

術前撮影 脛骨骨折

術後撮影 プレートにて整復